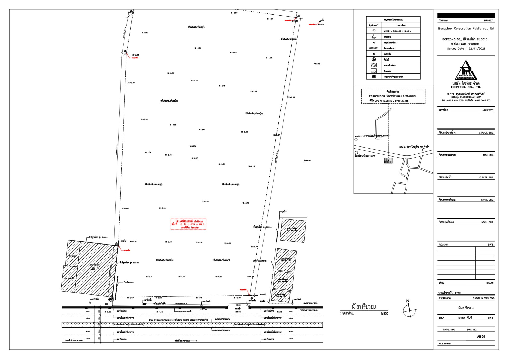
งานสำรวจเพื่อเขียนขออนุญาตก่อสร้าง (ที่ดินเปล่า)

งานสำรวจเพื่อเขียนขออนุญาตก่อสร้าง (ที่ดินเปล่า)


งานสำรวจเพื่อเขียนขออนุญาตก่อสร้าง (ที่ดินเปล่า)

เราทำการสำรวจและประเมินพื้นที่ว่างเปล่าที่จะใช้สำหรับการก่อสร้างใหม่ เกี่ยวข้องกับการเตรียมเอกสารการขออนุญาต รวมถึงการศึกษาผลกระทบต่อสิ่งแวดล้อม การจัดหาทรัพยากรและโครงสร้างพื้นฐาน